Skip to content

Hurricane Mellissa now pummeling Cuba after slamming Jamaica

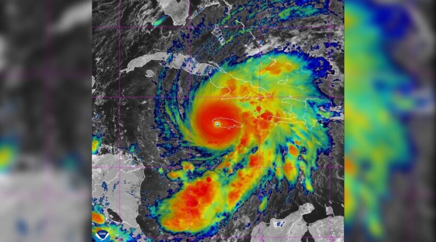
Hurricane Melissa is pummeling Cuba, Wednesday morning, as the monster storm continues its wrath on the Caribbean.

Melissa made landfall in Jamaica Tuesday, as a catastrophic Category 5 storm—one of the most powerful ever to hit the island nation.

It struck near New Hope in Westmoreland Parish with sustained winds estimated at around 295 km/h.

The damage across southwestern Jamaica was extensive: homes stripped of roofs, major flooding in parishes such as St. Elizabeth (described by officials as “underwater”), roads blocked by landslides and boulders, and widespread power outages affecting hundreds of thousands of people.

The Prime Minister of Jamaica cautioned that much of the infrastructure was simply not built to withstand winds of this magnitude.

Emergency crews reported that many residents were trapped in their homes—especially in flood-prone communities like Black River—because raging waters and debris made rescues impossible.

Some hospitals suffered structural damage and lost power amid the storm’s fury.

Authorities declared Jamaica a disaster area and warned that full damage assessments would take days given the scale of destruction and the slow-moving nature of the storm.

As the storm moved away from Jamaica, it weakened to a Category 3 hurricane.

In its weakened state it is still extremely dangerous, carrying risks of heavy rainfall, storm surge, and strong winds as it continues to move over eastern Cuba.

The U.S. National Hurricane Center said it will soon bring its destruction to the Bahamas.

As of the latest updates, sustained winds are around 115 mph (~185 km/h) and flood warnings remain in effect for Jamaica and neighbouring regions.

Residents are still being urged to stay sheltered, avoid flood-prone areas, and prepare for an extended recovery phase.

  • Evan Taylor is a 2018 graduate of the journalism program at Fanshawe College. He is based in Bridgewater and covers stories across the South Shore and Nova Scotia. Contact Evan at taylore@radioabl.ca.

    View all posts

Do you have a news tip?

Submit to ONNews@radioabl.ca.

loader-image
Kenora, CA
12:01 pm, May 25, 2026
weather icon 20°C
L: 20° H: 20°

What’s Trending